| Deze pagina wordt steeds bijgewerkt! 
 Afbeelding uit Spiegel Historiael april 1978 (p.222).
 Klik op de kaart voor een vergroting.
 
 
  Noot: het mag wel frappant genoemd worden dat in hetzelfde nummer van Berichten van de ROB (nr.19, p.209-212) een artikel staat van W.van Zeist met als titel "Agriculture in Early-Medieval Dorestad; A Preliminary Report".
 In dit artikel is sprake van het verbouwen van graan in Dorestad (aan de hand van zaden gevonden in het opgravingsgebied) en wordt meerdere keren "Dorestad farmers" genoemd.
 De verwijzing naar het boek 'De agrarische geschiedenis van West-Europa' van B.Slicher van Bath mag opvallend genoemd worden. Het gaat in die verwijzing helemaal en uitsluitend over de verbouwing van graan, waarbij meerdere soorten tegelijk of naast elkaar verbouwd werden voor de bereiding van brood voor eigen consumptie. Dat wordt ook genoemd in het artikel van Van Zeist 'for human consumption' (p.210) en niet als veevoer.
 Hiermee wordt overduidelijk bevestigd dat de inwoners van Dorestad gewoon boeren waren die graan verbouwden en niet afweken van wat er in de rest van West-Europa op dat gebied gebeurde.
 Het is hier nogmaals duidelijk dat er van een 'handelsstad' geen enkele sprake was.
 
 Dit boek van Slicher van Bath is overigens op meerdere punten zeer interessant. Zo beschrijft hij dat de ontginningen in Nederland pas in de 12e en 13e eeuw begonnen (p.168) en voor die tijd praktisch heel laag Nederland ontoegankelijk was. Het verklaart waarom de opgegraven nederzetting bij Wijk bij Duurstede, dat men voor Dorestad houdt, halverwege Nederland lag. Ten westen daarvan was bewoning gewoon niet mogelijk vanwege de vele moerassen en drassige veengebieden. Bedijkingen om het water 'buiten te houden', stammen op zijn vroegst uit de 11de eeuw en de oudste vindt men in Zeeuws-Vlaanderen. (p.170). Slicher van Bath vermeldt hierbij niet dat deze oudste bedijkingen werden aangelegd door monniken uit Frans-Vlaanderen, met name die van de St.Bertinsabdij te St.Omaars, waar dijkenbouw al  in de 9de eeuw beschreven is.
 
 
 
 
 
|   
 De Fundamentele verwarring bestaat uit de vraag of Noviomagus uit de klassieke teksten Nijmegen is of Noyon. Het kernpunt waar alles mee begon en waar alles om draait is deze hier genoemde fundamentele verwarring. Deze kwestie ligt aan de grondslag van talloze andere opvattingen, zoals de verwarring rond Trajectum: was het Utrecht of was het Tournehem en Dockynchirica, was dat Dokkum of Duinkerke? Immers als Nijmegen fout is, is Utrecht ook niet de bisschopszetel van Willibrord en werd Bonifatius niet in Dokkum vermoord en dan was de Betuwe ook niet het land van de Bataven. Dat gebeurde allemaal in Noord-Frankrijk!
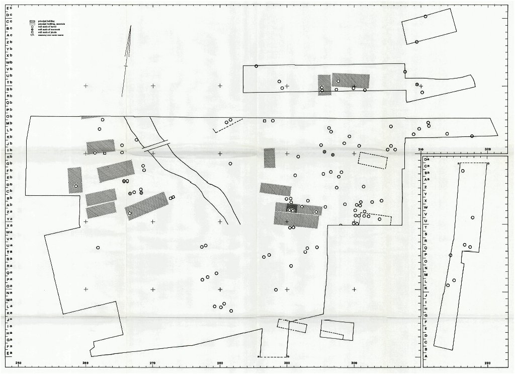
 |  |  Reeds in 1968 wist Van Es al dat hij niet Dorestad aan het opgraven was. In zijn artikel 'Excavations at Dorestad; a Pre-preliminary Report: 1967—1968' (bROB 19, p.183-207) schrijft hij: We kunnen niet ingaan op een gedetailleerde bespreking van de vele problemen met betrekking tot de opbouw en het ontstaan van de bouwtype met schuine buitenste dakdragers. De verspreiding daarvan strekt zich uit van Denemarken over het noordwesten van Duitsland naar Nederland. Dit type gebouwen wordt over het algemeen gevonden in landelijke nederzettingen'. In nederzettingen zoals Warendorf en Odoorn (ook Rijnsburg wordt genoemd) had het de functie van boerderij )zie noot in de linker kolom)en voor zover kan worden beoordeeld met een gecombineerd woonvertrek en koeienstal onder één dak. We zien geen reden waarom de vergelijkbare gebouwen die zich in Dorestad bevinden, een andere functie hadden. Het nederzettingspatroon met zijn nogal losse verstrooiing van huizen wijst ook op een agrarische karakter van het in 1967-68 opgegraven deel van Dorestad. De zeldzaamheid van graanschuren is enigszins moeilijk uit te leggen in een nederzetting met een voornamelijk agrarische functie, maar deze zeldzaamheid kan meer schijn dan echt zijn. (p.204). Dorestad had een overwegend landelijk karakter (p.206). Waarmee aangegeven is dat de opgegraven nederzetting in Wijk bij Duurstede een 'boerendorp' was en geen stad zoals beschreven in de bronnen. Geen graan- of voorraadschuren, geen pakuizen: nergens blijk er ook maar enige vorm van handel te hebben bestaan. 'Het is te vroeg om gedetailleerde informatie te verwachten over het nederzetting patroon. Alleen de hoofdlijnen beginnen naar voren te komen en zelfs deze zijn nogal vaag. Figuur 7 geeft een impressie van de verdeling van de hoofdgebouwen en putten.  Er zijn enkele aanwijzingen van het voorkomen in dit gebied van zwaarder gebouwde rechthoekige structuren, maar het bewijs is nog niet overtuigend (p.193).
 (Figuur 7 is hier rechts afgebeeld. Klik op de afbeelding voor een vergroting.)
 De legenda vermeldt het volgende:
  =principal building;  =principal building, uncertain; O=well made of barrel; ⚫=well made of tree-trunk; [_]=well made of planks;  =causeway over water course. 
 
De visie van Albert Delahaye.Prof. W.A. van Es heeft naar eigen zeggen Delahaye eens uitgenodigd om bij de opgravingen in Wij bij Duurstede eens te komen kijken. Dat zou Delahaye geweigerd hebben. Toen de TROS in gezelschap van Albert Delahaye op het terrein van de opgravingen in Wijk bij Duurstede opnamen wilde maken voor Tros Aktua van 16 juli 1981, werd dit verboden. Voelt u 'm? Overigens heeft Delahaye de opgravingen in Wijk bij Duurstede nooit betwist, maar het was niet Dorestad dat er opgegraven werd, maar het tot dan toe onbekende Munna, een roversnest van jagers en vissers.
 
 
| Dorestad of Munna? Dat er in Wijk bij Duurstede een oude nederzetting is opgegraven is geen punt van discussie. Maar was dit Dorestad of een andere middeleeuwse plaats, zoals het tot heden onvindbare Munna.
 De opgegraven nederzetting voldoet niet aan de kenmerken die genoemd worden in de schriftelijke bronnen. Munna daarentegen voldoet precies aan de omschrijving in de kroniek van Kamerijk uit de 11de eeuw.
 |  |  | De gevestigde wetenschap contra de logica. Sinds de gevestigde wetenschap eenmaal had aangenomen dat te Wijk bij Duurstede het aloude en beroemde Dorestad gelegen heeft, is deze aanname zelfs met de meest logische argumenten niet te bestrijden geweest. Overigens blijkt uit de opgravingverslagen zelf al heel duidelijk, dat de gevonden nederzetting in Wijk bij Duurstede niet Dorestad geweest kan zijn.
 |  
 Wat lezen we in het opgravingverslag uit 1967-1968? Hieronder citaten uit dat verslag, opmerkingen in rood.
 Dit verslag is, net als wel meer artikelen, in het Engels gepubliceerd. Waarom Engels? Wil men internationaal indruk maken? De R.O.B. is toch een overheidsinstantie die betaald wordt met Nederlands belastinggeld. Voor de doorsnee belangstellende Nederlanders blijft zo wel het nodige en zeker de fijne nuances verborgen. Met 'vertaalprogramma's' op internet is dit vertalen wel op te lossen, al dient men soms correcties toe te passen. Zo wordt 'Renus' steevast 'vertaald' met Rijn en 'Germanes'  altijd met 'Duitsers'. De traditionele vooringenomenheid blijkt ook in deze 'vertaalprogramma's' van toepassing te zijn.
 
 Wat bij deze 'Excavations' (opgravingen) opvalt is dat ze dan wel 'Pre-prliminary' (voorlopig) genoemd worden, maar er spreekt een openheid uit, die in alle verslagen daarna niet meer voorkomt. Moesten daarna de tegenvallende opgravingen verbloemd worden, ofwel 'mooier voorgesteld worden dan ze in werkelijkheid waren'?
 Er was nog veel onzeker in 1967/1968: zie de citaten hieronder. De opgravingen in de jaren 1970-1978 hebben daar weinig verandering in gebracht, zoals wel blijkt uit de publicatie in Spiegel Historiael van april 1978.
 
In 'Excavations at Dorestad; a Pre-preliminary Report: 1967—1968' (bROB 19) schrijft W.van Es: Het nieuwe bewijs geleverd door de opgravingen van 1967-68 dwingt ons om afstand te doen van de bestaande Curtis-theorie. Een versterkte curtis, zoals gereconstrueerd in eerdere publicaties over Dorestad, heeft nooit bestaan in de omgeving van De Heul. Het opgegraven gedeelte van Dorestad, dat een deel van De Heul beslaat, presenteert een heel ander karakter. Voorlopig blijft het moeilijk om precies te ontdekken wat dit karakter was. De oplossing hangt grotendeels af van de functie toegeschreven aan de belangrijkste gebouwen die het belangrijkste element vormen van de nederzetting (p.202). Als er geen curtis (hof) gevonden is, dan was deze opgegraven nederzetting ook niet Dorestad. Na nog wat meer graafwerk bleek het 'ware karakter' van deze nederzetting in 1974: het was een lintdorp langs de Rijn, een vissersdorp waar iedereen aan het water wilde wonen. Het was een dorp van vissers en jagers wat de grote hoeveelheid graten en botten verklaart, het was het vissersdorp Munna, dat in 1018 op last van de Duitse Keizer met de grond gelijk gemaakt en vernietigd werd, aangezien het een roversnest was geworden waar de omgeving over geklaagd had.
 
Losse en kleine vondsten, genoemd op p.197 en 198:
 
De vondsten suggereren een datum voor het opgegraven deel van Dorestad in de tweede helft van de 8e en vooral de 9de eeuw. Voorlopig blijft de knagende vraag van de locatie van Dorestad in de 7e en het begin van de 8e eeuw onopgelost. Zonder Merovingische periode heeft Dorestad niet bestaan in Nederland.
 
De indicaties van lokale huisnijverheid zoals weven, metaal bewerken, enz. zijn niet uitzonderlijk. Dezelfde ambachten werden beoefend in gelijktijdige, volledig landelijke nederzettingen: bijvoorbeeld in het vroegmiddeleeuwse terpdorpje Elisenhof bij Tönning, wat ons parallellen geeft voor alle huisnijverheid, waaronder de bewerking van barnsteen, zoals in Dorestad voorkwam. Lees ook de noot hiernaast. Uit alles blijkt dat de opgegraven nederzetting in Wijk bij Duurstede een boerendorp was en zeker geen handelsstad.
 
Aardewerk vormt het grootste deel van de vondsten. Zie verder onder punt 3.Voorwerpen van metaal en organisch materiaal zijn zeldzaam. 
 
Onder de metalen voorwerpen bevonden zich drie schakels van een zwaar ijzer ketting, eventueel een ankerketting. Het is gevonden in een kuil nabij de plaats van de 'scheepswerf' (cf. supra), samen met scherven van Karolingisch aardewerk. De lengte van de schakels is 23,5,27,5 en 26,5 cm. Het kan worden vergeleken met de ankerketting van het Ladby-schip, maar deze ketting is lichter en van verschillende constructie. 
 
Een interessante categorie metaalvondsten zijn de munten. De Opgraving van 1967-68 leverde negen munten op die dateren uit de Karolingische periode. Een daarvan is de unieke geslagen munt voor King Offa. Zes zijn Karolingische denarii, een van deze geslagen voor Karel de Grote, vijf voor Lodewijk de Vrome, en twee zijn sceatta's. Aanzienlijke aantallen metaalslakken en af en toe een smeltkroes wijst naar een plaatselijk metaal (bronzen en ijzer?) industrie. Koning Offa was van 757 tot zijn dood in 796 koning van Mercia in centraal Engeland. Wil men met die ene munt de internationale handel van Dorestad bewijzen? Maar wat bewijs je met munten, als ze langere tijd hun waarde behielden? Lees meer over munten.
 
Amber komt voor in tal van onbewerkte fragmenten. Deze zijn meestal klein en kunnen worden beschouwd als de verspilling van een andere lokale industrie: onder andere waarschijnlijk de vervaardiging van kralen. 
 
De schaarste aan spindelkralen is opvallend en moeilijk uit te leggen. Het kan deels te wijten zijn aan toevallige omstandigheden, want er is een mooie verzameling botspilslingers tussen de eerdere vondsten uit Dorestad, maar aardewerk spindels zijn vrijwel geheel afwezig. Echter, weven moet een veel voorkomende bezigheid zijn geweest voor weefgetouwgewichten regelmatig voorkomen. De weefgetouwgewichten van Dorestad zijn eenvoudige dikke kleiringen. 
Het kleine aantal stenen voorwerpen, voornamelijk wetstenen, fragmenten van basaltlava, en af en toe een stenen vijzel, contrasteert sterk met de talrijke onbewerkte kiezels en steenfragmenten. 
 
Glazen voorwerpen zijn even zeldzaam. Ze bestaan uit enkele kralen, scherven van glazen bekers, met name trechterbekers, en een enkele halfronde strijkstenen.
 Samenvattend kunnen we concluderen dat deze losse en kleine vondsten NIETS bewijzen ten aanzien van een grote handelsstad, wat Dorestad volgens de bronnen was. Het komt niet verder dan wat huisnijverheid, zoals overal in Europa (en waar niet ter wereld?) heel gebruikelijk was. Men maakte alles zelf, ook sieraden. Munten werden 'gespaard' als curieuze objecten, maar zeker niet om te betalen. Wie had er wisselgeld?
 Ook de opgravingen in de jaren 70 en 80 brengen daarin geen verschil. Lees wat men schrijft in het grote opgravingverslag in Spiegel Historiael van april 1978 en in de Archeologische Kronieken uit de jaren 1970-1979 en uit de jaren 1980-1984
 
 
Het aardewerk.
 
Dit algemene overzicht van de vondsten zal worden afgerond door enkele opmerkingen over het aardewerk. Van een totaal aantal van ongeveer 5.100 randscherven in ongeveer 5.000 vondstlocaties is ongeveer 91% (ca. 4600 randscherven) uit de Karolingische periode. De rest is Romeins (ca. 1 %), middeleeuws (ca. 6.5%), of later (ca. 1,5%). De scherven blijken gevonden te zijn in dezelfde context ofwel dezelfde laag. Dat moet archeologen zeer argwanend maken omtrent dateringen en conclusies. Is 4600 scherven wel een aantal om van deze nederzetting een grote handelsstad te maken? Laat een een stenen bloempot kapot vallen: dan heb je zoal 10 scherven. 4600  scherven betekent dan zo'n 460 hele potten. En verdeel dat eens over die 200 jaar dat Dorestad bestaan heeft. Dat is maar zo'n twee potten per jaar. Blijkbaar zat er geen statiegeld op de kruiken met wijn. Na lediging werden die kapot gegooid, zeker toen Munna een rovershol was.Luit van der Tuuk schrijft er op zijn website "Dorestad onthuld" het volgende over: Na botmateriaal is aardewerk de omvangrijkste materiaalcategorie. Ook al zijn er vele tienduizenden scherven gevonden, een eenvoudige rekensom leert dat het met de omvang van de hoeveelheid aardewerk wel meevalt. De dichtheid van ruim twee scherven per opgegraven vierkante meter is niet buitengewoon hoog. (met een verwijzing naar: (2) Dijkstra, Het domein van de boer en de ambachtsman, p.123). Ook hier weer de verwijzing naar het boerenbedrijf!
 
 
Er zijn geen sporen van Romeinse aanwezigheid gevonden in het opgegraven gebied. Het Romeinse materiaal moet afkomstig zijn van nederzettingen of begraafplaatsen in de nabijheid. Het voorkomen van een bijna volledige Romeinse kan die werd ontdekt in een grote kuil in associatie met Karolingische scherven zou erop kunnen wijzen dat Romeins aardewerk in de tijd van Dorestad af en toe werd hergebruikt. Hetzelfde geldt waarschijnlijk voor de vrij talrijke fragmenten van Romeinse tegels, sommige met militaire stempels, gevonden in Karolingische context. het Middeleeuwse materiaal is niet gelijkmatig verdeeld over het uitgegraven gebied. Het concentreert zich op bepaalde plaatsen, vooral in vierkanten Xa/Eb-278/287, waar onder andere middeleeuwse sporen de overblijfselen van minstens één middeleeuwse boerderij samen met zijn cirkelvormige graanschuur werden waargenomen.
 
Het Karolingische aardewerk vertegenwoordigd in de vondst van 1967-68 complex lijkt vooral te behoren tot het latere deel van de 8e en vooral de 9de eeuw. Het was tijdens de opgraving voorlopig ter plaatse ingedeeld. De classificatie berust op formele criteria en macroskopische kenmerken van het materiaal, zoals stof en kleur. Een eerste onderscheid kan worden gemaakt tussen handgemaakt (H) en op de draaischijf (w -wiel) gemaakt aardewerk. De eerste kan lokale waren zijn, de laatste zijn importen, de meeste uit het Duitse Rijnland. Het handgemaakte aardewerk is verdeeld in vier, het draaischijf aardewerk in tien algemene typen of typenserie. De typeseries zijn onderverdeeld in verschillende aantallen van individuele typen. Belangrijker dan de uiterlijke vormverschillen is de datering. En dan stuiten we op enkele wonderbaarlijke verschillen die de datering van vondsten in Wijk bij Duurstede in een ander licht stellen en vooral in een andere periode dateren.
 
 
| HI. Kugeltopf. Er zijn drie typen te onderscheiden op basis van de vorm van de rand. Type A, B en C. We gaan hier verder niet in op de verschillen tussen dit aardewerk. H-II-IV. Type Kugeltopf bestaan uit uitzonderlijke modellen.
 H III. bestaat uit ondiepe kommen van Kugeltopf waar.
 H-V. zijn de smeltkroezen; al deze soorten zijn zeldzaam.
 
 Op de Duitse website over aardewerk lezen we over de Kugeltopf:
 Als Kugeltopf (gelegentlich auch Bombentopf) wird eine im Mittelalter verbreitete Keramikform bezeichnet. Die wegen ihrer kugeligen Form benannten Gefäße wurden zur Zubereitung von Mahlzeiten verwendet und direct ins Feuer gestellt. Kugeltöpfe bilden im norddeutschen Raum (Bundesländer Niedersachsen und Schleswig-Holstein) vom Beginn des 10. Jahrhunderts bis zur Mitte des 13 Jahrhunderts die häufigste Keramik überhaupt.
 Dat is dus een datering ruim ná Dorestad dat immers in 863 ten onder ging.
 
 
 
 
 De tekst van beide genoemde musea in het Duits of Engels. Bij de ROB kunnen ze dat beslist wel lezen, gezien in artikelen in die talen.
 | W-I. Reliëfband amfora. De meeste reliëfbandamforen behoren tot de A- of B-variëteit. Type A heeft een lage, brede en vlakke rand, type B een opstaande, licht gekantelde en min of meer verdikte kraag.
 
 Wat lezen op de website van het British Museum over reliëfbandamforen?
 Object Type: amphora, Pottery; bodysherd; reliëfband amphora, Production date: 9thC-11thC. Production place: made in: Dorestad. Excavated/Findspot: Dorestad, Europe: Netherlands: Utrecht (province): Dorestad.
Het British Museum verwijst voor de relief-band amphora naar Dorestad, maar dateert het vanaf de 9de tot de 11de eeuw.
 
 Luit van der Tuuk schrijft daar het volgende over: Er is ook wel verondersteld dat de kogelpot in de eerste helft van de achtste eeuw in Dorestad ontwikkeld werd en zich vandaar aanvankelijk onder invloed van de Frankische expansie naar de Friese kustgebieden verspreidde om in de loop van de Karolingische periode ook in Saksen te belanden. Het 'ook wel' en het 'verondersteld' geeft al een dubbele ontkenning aan Opvallend is ook dat Van der Tuuk wel een begindatum van fabricage van verschillende potten geeft, maar van de meeste soorten geen einddatum. van fabricage. En juist die einddatum is van belang om te kunnen beoordelen of het bij deze opgegraven nederzetting over Dorestad of over Munna gaat!
 
 W-II. Large Badorf jug.
 The earliest traces of ceramics production were found on the eastern slope of the Ville in the area of today's Waldorf for the 6th to 7th centuries and after a spatial relocation of the workshops to the north, in the 8th century in Walberberg and Eckdorf. In Walberberg, for example, four pottery kilns from the Carolingian era were documented on a building plot from the Merovingian period to the 15th century .
They were not only made in Badorf, but also in Eckdorf, Geildorf and Pingsdorf. Badorf ceramics were in great demand in all their forms and were not only marketed regionally, but also exported to distant European countries across the Rhine.
 
 The British Museum kwalificeert Badorf jug zelfs vèr in de Middeleeuwen met Production date: 1375-1425 en Production place: Made in: Siegburg.
 |  
Het fundamentele verschil ligt in de overweldigende hoeveelheid geïmporteerd aardewerk dat in Dorestad gevonden is. Hierin lijkt Dorestad uniek te zijn. Bij Elisenhof en ook in de toenmalige landelijke nederzettingen in het noordelijk deel van Nederland, b.v. in de terpenstreek,
is geïmporteerd aardewerk zeldzaam; daar de lokale handgemaakte waar overheerst. Zelfs op de koninklijke site van Paderborn, overtreft het handgemaakt aardewerk het aantal op de draaischijf vervaardigde aardewerk. De buitengewone overvloed aan geïmporteerd aardewerk in Dorestad weerspiegelt het uitzonderlijk belang dat de stad gespeeld heeft in de internationale handel, zelfs als een onderdeel van de nederzetting landelijk kan zijn geweest (p.206). Hier wordt dus eindelijk de ware reden gegeven waardoor men de nederzetting in Wij bij Duurstede tot de grote handelsplaats Dorestad heeft verheven: de geweldige hoeveelheid aardewerkscherven. Nu maakte de archeologen Amersfoort eens twee eeuwen ouder op de vondst van twee (2!) scherven, maar dateringen op de vondst van aardewerkscherven blijft een precaire zaak.
 
Echter, in het algemeen is de opgraving van Dorestad betekent uitgraven in klei. Geen sporen van Dorestad werden gevonden in de zuidwestelijke hoek van de opgegraven gebied (vierkanten Ea/Va-225/275). Het is nog onmogelijk om de precieze duur vast te stellen van de periode waarin de opgegraven delen van Dorestad werden bewoond. (p.193). 
 
De voortzetting van 'Dorestad' naar het noorden en naar het zuiden is niet bekend, en de gegevens zijn niet vastgesteld, maar we beschouwen het als een aantrekkelijke hypothese dat deze fossiele beding de loop van de Rijn in de Dorestad-periode vertegenwoordigt (p.191). Dorestad is dus gebaseerd op een aantrekkelijke hypothese. Fijn dat Van Es dat dan tenminste toegeeft.
 
De afbeelding is schematisch en onvolledig (bedoeld is het kaartje fig.7: zie boven). Een analyse van dit gebied is nog niet uitgewerkt. De eenvoudige configuraties van paalgaten zullen extreem moeilijk vast te stellen zijn vanwege de grote dichtheid van vestigingssporen, zoals kuilen en greppels (p.193). Men blijkt dus al voorbarig de conclusie te hebben getrokken dat hier dus wèl Dorestad moet hebben gelegen. 
 
Het ontbreken van woningen in de zuidelijke helft van het plan in figuur 7 komt overeen met de werkelijke situatie. Geen huizen stonden in het zuidwestelijke deel van het opgegraven gebied (vierkanten Ea/Va-255/275), noch waren er grote gebouwen op pleinen Ga/Wa-275/295. De huizen aangegeven in vierkanten Ga/Ja-298/300 zijn onzeker (p.194). Zie de vorige opmerking.
 
Houten putten vormden een tweede belangrijk element in het deel van Dorestad dat tot nu toe is onderzocht. Ze waren aanwezig in grote aantallen. Afbeelding 7 toont een algemeen verband tussen huizen en putten, hoewel het meestal moeilijk is om een put toeschrijven aan een bepaald huis. Opmerkelijk genoeg zijn de putten vaak in paren gevonden. Dit is het duidelijkst te zien in vierkanten waar vier paar dicht bij elkaar liggende putten kan worden waargenomen. Twee putten in elk van deze vier paren toonde een andere constructie. In andere gevallen zowel de twee
putten die één paar vormden, waren van hetzelfde type. Het is een aannemelijke veronderstelling dat de twee putten van één paar er gelijktijdig waren. Ze hebben misschien een andere functie gehad: een werd mogelijk gebruikt door de mensen, de andere voor het vee. Het is een nogal fantasierijk verhaal. Waarom putten graven als de (toen zeker nog schone rivier) vlak voor de deur lag. Aparte putten voor het vee? Dat verzint geen enkele boer. Is er niemand bij de ROB die wel eens gedacht heeft aan latrines? Dat deed je toch niet in huis, maar in een apart kotje op het veld. 
Soms zijn de groepen groter en bestaan ze uit drie of nog meer putten. Er komen ook geïsoleerde putten voor. Soms lijkt het erop dat meer dan één groep putten tot één huis behoorde. In dat geval hoeven de groepen niet strikt gelijktijdig te hebben bestaan; ze kunnen elkaar hebben opgevolgd binnen de levensduur van het huis waartoe ze behoorden. Een houten gebouw ging waarschijnlijk langer mee dan een put. De putten zijn niet altijd in de directe omgeving van de huizen te vinden. Dit is bijvoorbeeld het geval in vierkanten Ka/Wa-27&/295: de putten in dit gebied moeten nogal ver weg van het dichtstbijzijnde gebouw zijn aangelegd. De verklaring zou kunnen zijn dat er zowel gemeenschappelijke als particuliere putten waren. Er komen drie verschillende typen voor (zoals fig.7 toont). (p.196). Dit hele verhaal is net als het vorige nogal fantasierijk en nergens op gebaseerd. Eigen putten en gezamenlijke putten? En dat terwijl de rivier met schoon drinkwater voor de deur lag. Was het water in de Rijn niet drinkbaar, maar wrak? Eb en vloed waren zo ver landinwaarts niet te merken.
 
De overige nederzettingssporen zijn voornamelijk kuilen, greppels, en sloten. De functie van de kuilen is meestal moeilijk vast te stellen. Veel waren waarschijnlijk afvalkuilen. Sommige kunnen worden geïdentificeerd als opslagputten of kelders, zoals bijvoorbeeld de rechthoekige kuilen in het huis in vierkanten Xa/Bb-288/295. De greppels, greppels en af en toe zijn rijen paalgaten belangrijke factoren bij het reconstrueren van het plan van Dorestad. De moeilijkheid is: dat het Karolingische nederzettingspatroon gedeeltelijk verdwenen is door latere greppels. (p.196/197). Ook hier kan niets met zekerheid vastgesteld worden. Met slechts paalsporen is zelfs geen dateringsindicatie mogelijk, wat ook gesteld wordt in het volgende citaat.
 
Het gebied in vierkanten Bb/Ob-251/257 aan de westelijke rand van het opgegraven gebied bleek een bijzonder karakter te hebben. De gewone nederzettingssporen, b.v. kuilen ontbreken hier. We vonden slechts vier ruwweg ovale configuraties van zeer vaag waarneembare post-gaten. De ovale post-instellingen zijn deels overlappend en variëren in grootte van 12 X 5 tot 22 x 10 m. Het gebied lijkt te zijn gescheiden van de werkelijke nederzetting door sloten. De interpretatie blijft onzeker (p.197). Lees ook wat in de vorige opmerkingen staat. Hoeveel zekerheid was er dat men Dorestad gevonden had? Het bleek het rovershol Munna te zijn. Lees meer over Munna. 
 Lees ook het opgravingverslag uit 1978 of er werkelijk iets wezenlijks aan toegevoegd is.
 
 
 |